Radio Białystok | Wiadomości | Wiadomości - Na jednej z działek w Jurowcach niedaleko Wasilkowa jest dzikie wysypisko śmieci

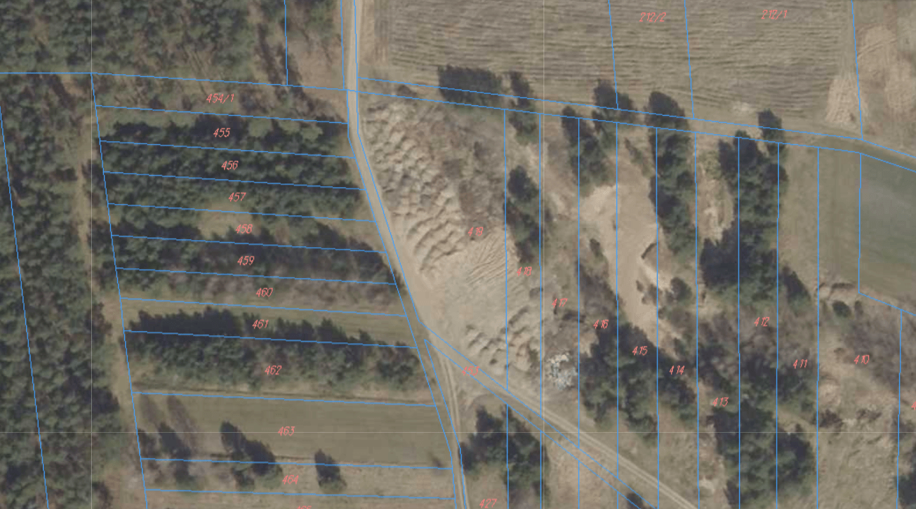
Na jednej z działek w Jurowcach niedaleko Wasilkowa jest dzikie wysypisko śmieci

autor: Ryszard Minko

14.05.2021, 09:53, akt. 11:46

Stare opony, opakowania po zużytym oleju silnikowym, plastikowe butelki i elementy karoserii można znaleźć na jednej z działek w Jurowcach niedaleko Wasilkowa.

Źródło fot.: dzięki uprzejmości Słuchacza
Źródło fot.: dzięki uprzejmości Słuchacza


0:00
0:00
dźwięk do pobraniaNa jednej z działek w Jurowcach niedaleko Wasilkowa jest dzikie wysypisko śmieci - relacja Ryszarda Minko | Pobierz plik.


Problemy z odsłuchem?

Częstym problemem przy wyświetlaniu playera jest używanie Adblocka.
Dłuższe dźwięki na niektórych wersjach przeglądarki Chrome są ucinane.

Dostaliśmy sygnał od słuchacza, że w sąsiedztwie byłej żwirowni zaczyna tworzyć się dzikie wysypisko śmieci. Okazało się, że teren należy do gminy Wasilków i po naszej interwencji będzie posprzątany.

- Gminne działki są w taki sposób wykorzystywane. Pracując kilkanaście lat już naprawdę wiele rzeczy widziałam. I to niekoniecznie muszą być śmieci z warsztatu, po prostu ktoś mógł sobie robić porządki w garażu. Za takie odpady trzeba zapłacić. Natomiast jesteśmy zobowiązani do posprzątania tego i tak zrobimy. Na pewno zabezpieczymy teren w taki sposób, żeby wiedzieć, kto ewentualnie tam te śmieci przywozi - mówi Marta Guralewska z Urzędu Miejskiego w Wasilkowie. 

Problem pozostawiania śmieci w lasach cały czas jest duży. Na dzikie wysypiska najczęściej trafiają tak zwane problematyczne odpady między innymi po remontach, które samodzielnie należy odwieźć do punktu odbioru lub zamówić osobny kontener.

| red: mag


PRB
Aplikacja Polskiego Radia Białystok	dla telefonów z iOS
Aplikacja Polskiego Radia Białystok dla telefonów z iOS

PRB
Aplikacja Polskiego Radia Białystok dla telefonów z Androidem
Aplikacja Polskiego Radia Białystok dla telefonów z Androidem

PRB
Aplikacja Polskiego Radia Białystok dla telefonów Huawei
Aplikacja Polskiego Radia Białystok dla telefonów Huawei


ZNAJDŹ NAS
Polskie Radio Białystok na Facebook
Polskie Radio Białystok na X
Polskie Radio Białystok na YouTube
Polskie Radio Białystok na Instagram


Termalica Nieciecza - Jagiellonia Białystok, 4.02.2022, fot. Joanna Szubzda
JAGIELLONIA
6.12.2025, 09:31, akt. 20:41

Jagiellonia walczy o pozycję lidera. Warunek: musi wygrać w Niecieczy

fot. Joanna Szubzda
BIAŁYSTOK
6.12.2025, 18:52, akt. 19:17

Tragiczny wypadek na torach. Opóźnione pociągi

Wizyta Mikołaja z Rovaniemi w Białymstoku, 6.12.2025, fot. Sylwia Krassowska
BIAŁYSTOK
FotoAudio
6.12.2025, 11:15, akt. 20:29

Mikołaj z Rovaniemi przyjechał do Białegostoku i zapalił lampki na miejskiej choince [zdjęcia]


Mikołaj z Rovaniemi w Białymstoku, 2023, fot. Joanna Szubzda
MIKOŁAJKI
6.12.2025, 07:00, akt. 11:13

Przedświąteczne atrakcje dla wszystkich, czyli weekend pod znakiem mikołajek

Mikołajkowa impreza w Parku Jana Pawła II w Łomży, 6.12.2025, fot. Adam Dąbrowski
ŁOMŻA
6.12.2025, 17:39, akt. 17:49

Po mikołajkach Łomża w świątecznej iluminacji

Świąteczne kartki trafią do żołnierzy z 16. Pomorskiej Dywizji Zmechanizowanej, 6.12.2025, fot. Ryszard Minko
BIAŁYSTOK
FotoAudio
6.12.2025, 14:50, akt. 14:54

Kartki dla żołnierzy - w Muzeum Wojska trwa akcja


Cenne starodruki trafiły do Muzeum Rolnictwa w Ciechanowcu, 6.12.2025, fot. Adam Dąbrowski
CIECHANOWIEC
Audio
6.12.2025, 14:14, akt. 14:20

Cenne starodruki w Muzeum Rolnictwa w Ciechanowcu

Pierwsze w Suwałkach szkolenie "wGotowości", 6.12.2025, fot. Areta Topornicka
SUWAŁKI
FotoAudio
6.12.2025, 13:29, akt. 13:58

Suwalczanie szkolą się z przetrwania i pierwszej pomocy w ramach programu „W Gotowości”

Świąteczna AKCJA APLIKACJA w Galerii Jurowiecka, 6.12.2025, fot. Barbara Sokolińska
NASZA AKCJA
Audio
6.12.2025, 11:36, akt. 19:59

Świąteczna Akcja Aplikacja trwa - w mikołajki spotkaliśmy się z naszymi Słuchaczami [zdjęcia]


Marzena Mielcarek, źródło: pfm.waw.pl
WAŻNE!
6.12.2025, 10:13, akt. 10:36

Dziennikarka Marzena Mielcarek zmaga się z reumatoidalnym zapaleniem stawów - każdy może pomóc

źródło: stock.adobe.com
REGION
6.12.2025, 10:01, akt. 10:09

Kierowcy jadący z Białegostoku do Warszawy muszą szykować się na kolejne odcinkowe pomiary prędkości

Witalij Kowalenko, źródło: Żubry Białystok (Facebook)
SPORT
6.12.2025, 09:39, akt. 10:43

Witalij Kowalenko nowym zawodnikiem Żubrów Białystok


Można już korzystać ze stoku narciarskiego w Rybnie koło Łomży, 6.12.2025, fot. Paweł Wądołowski
ŁOMŻA
Audio
6.12.2025, 14:00, akt. 14:12

Stok narciarski w Rybnie ruszył w mikołajki

"Czas na święta" w Polskim Radiu Białystok
FotoAudio
6.12.2025, 06:00, akt. 09:13

"Czas na święta" - premiera naszej świątecznej piosenki [zdjęcia, wideo]

Podopieczni Domu Pomocy Społecznej napisali listy do Mikołaja, 5.12.2025, fot. Sylwia Krassowska
ŚWIĘTA
FotoAudio
5.12.2025, 14:29, akt. 20:28

DPS w Białymstoku. Mieszkańcy i opiekunowie piszą listy do Świętego Mikołaja [zdjęcia]


W proteście branży drzewnej uczestniczyło około tysiąca osób, 5.12.2025, fot. Ryszard Minko
BIAŁYSTOK
Audio
5.12.2025, 13:24, akt. 13:32

Tysiąc osób na proteście branży drzewnej na ulicach Białegostoku

Szpital Wojewódzki w Łomży, fot. Adam Dąbrowski
ŁOMŻA
5.12.2025, 18:40, akt. 18:58

Jedne szpitale wprowadzają ograniczenia, a łomżyński zaprasza pacjentów z innych miejscowości

Gala Inicjatyw Lokalnych i Młodzieżowych 2025, źródło: Spółdzielnia Socjalna „Active Go” w Białymstoku
REGION
5.12.2025, 18:35, akt. 6.12.2025, 08:50

Podsumowanie projektu Podlaskie Lokalnie. Najlepszym okazał się pomysł nieformalnej grupy


Uroczyste otwarcie hali sportowej w Łempicach, 5.12.2025, fot. Adam Dąbrowski
SPORT
Audio
5.12.2025, 16:40, akt. 17:07

To jak prezent na mikołajki. Uczniowie szkoły w Łempicach mają halę sportową

Fotolia.com
Z SĄDU
Audio
5.12.2025, 16:22, akt. 16:32

Sąd utrzymał wyrok skazujący w głośnej sprawie klapsa w pośladek w KWP w Białymstoku

Ogólnopolska świąteczna akcja zbiórki żywności „Tak, pomagam!”, 5.12.2025, fot. Caritas Archidiecezji Białostockiej
BIAŁYSTOK
Audio
5.12.2025, 08:23, akt. 17:04

Weź udział w zbiórce Caritas, pomóż potrzebującym. Trwa przedświąteczna akcja


Fot. Marta Nazarko / Archiwum
Z SĄDU
Audio
5.12.2025, 17:52, akt. 18:03

Zakończył się proces apelacyjny w sprawie śmiertelnego pobicia na osiedlu Bagnówka w Białymstoku

II Samorządowe Forum Sołtysów, 05.12.2025, fot. Aneta Łaski
REGION
Audio
5.12.2025, 15:48, akt. 15:59

Jak skutecznie skorzystać z funduszy sołeckich? Sołtysi na warsztatach w Pomigaczach

Stypendia dla szczególnie uzdolnionych studentów, 5.12.2025, fot. Marcin Mazewski
BIAŁYSTOK
Audio
5.12.2025, 13:39, akt. 13:57

Stypendia dla szczególnie uzdolnionych nie tylko za naukę


źródło: stock.adobe.com
Z POLICJI
5.12.2025, 11:39, akt. 11:46

74-letniej oszustce grozi 15 lat więzienia

Fot. Grzegorz Pilat
REGION
5.12.2025, 10:56, akt. 11:03

Sprawdź światła w swoim samochodzie - ostatnia okazja

Świąteczna AKCJA APLIKACJA w Galerii Alfa, 5.12.2025, fot. Sylwia Krassowska
NASZA AKCJA
FotoAudio
5.12.2025, 07:00, akt. 6.12.2025, 09:26

Białystok, Łomża, Suwałki. Gdzie można spotkać radiowego Mikołaja i wygrać nagrody? [zdjęcia]


GKS Katowice - Jagiellonia Białystok, 4.12.2025, fot. Joanna Szubzda
JAGIELLONIA
Video
4.12.2025, 18:58, akt. 5.12.2025, 02:24

Jagiellonia Białystok odpada z Pucharu Polski [zdjęcia, wideo]

GKS Katowice - Jagiellonia Białystok, 4.12.2025, fot. Joanna Szubzda
JAGIELLONIA
Video
4.12.2025, 21:50, akt. 22:03

Adrian Siemieniec: nie ma skali na moją złość [wideo]

Nagroda Instytutu Pamięci Narodowej "Świadek Historii", 4.12.2025, fot. Marcin Gliński
BIAŁYSTOK
Audio
4.12.2025, 18:18, akt. 19:12

Świadkowie przeszłości uhonorowani. Laureaci odebrali medale IPN


Spotkanie z producentami z bazy Podlaskiego Centrum Produktu Lokalnego, 4.12.2025, fot. Marta Sołtys
REGION
Audio
4.12.2025, 17:26, akt. 17:46

Podlasie promuje lokalnych twórców. PCPL zrzesza już setki producentów

fotolia.com
REGION
4.12.2025, 17:13, akt. 17:22

Woda w Miastkowie bez groźnych bakterii. Nadal wymaga przegotowania

Fotolia.com
SĄD
Audio
4.12.2025, 15:22, akt. 15:53

Oszustwo na rzeźbach i fikcyjnych artystach. Ogromna skala śledztwa


Wyrok ws. śmiertelnego wypadku w miejscowości Kolonie Lipsk, 4.12.2025, fot. Iza Kosakowska
SĄD
Audio
4.12.2025, 14:53, akt. 15:09

Zginęła ciężarna 19-latka. Sąd Okręgowy w Suwałkach obniżył karę sprawcy

Obszar objęty zakazem przebywania, Podlaskie, 13.06.2024, fot. Ryszard Minko
GRANICA
Video
4.12.2025, 14:01, akt. 15:15

Strefa buforowa przy granicy z Białorusią będzie przedłużona na kolejne trzy miesiące [wideo]

Święto Politechniki Białostockiej, 4.12.2025, fot. Marcin Gliński
NAUKA
Audio
4.12.2025, 13:26, akt. 13:47

Święto Politechniki Białostockiej. Statuetki, dyplomy i moc życzeń




źródło: www.radio.bialystok.pl

Białystok FM 99,4 Łomża FM 87,9 Suwałki FM 98,6 Siemiatycze FM 104,1 Białowieża FM 89,4 178,352 MHz (k.5C) DAB+

Copyright © Polskie Radio Białystok